Shared Trails Project - Proposed land acquisition

No longer on display. Expired on 08 January 2026, 12:00 AM

Council proposes the acquisition of part of 158 Hamilton Road, New Gisborne, for the purpose of constructing a section of the Woodend to Riddells Creek Shared Trail.

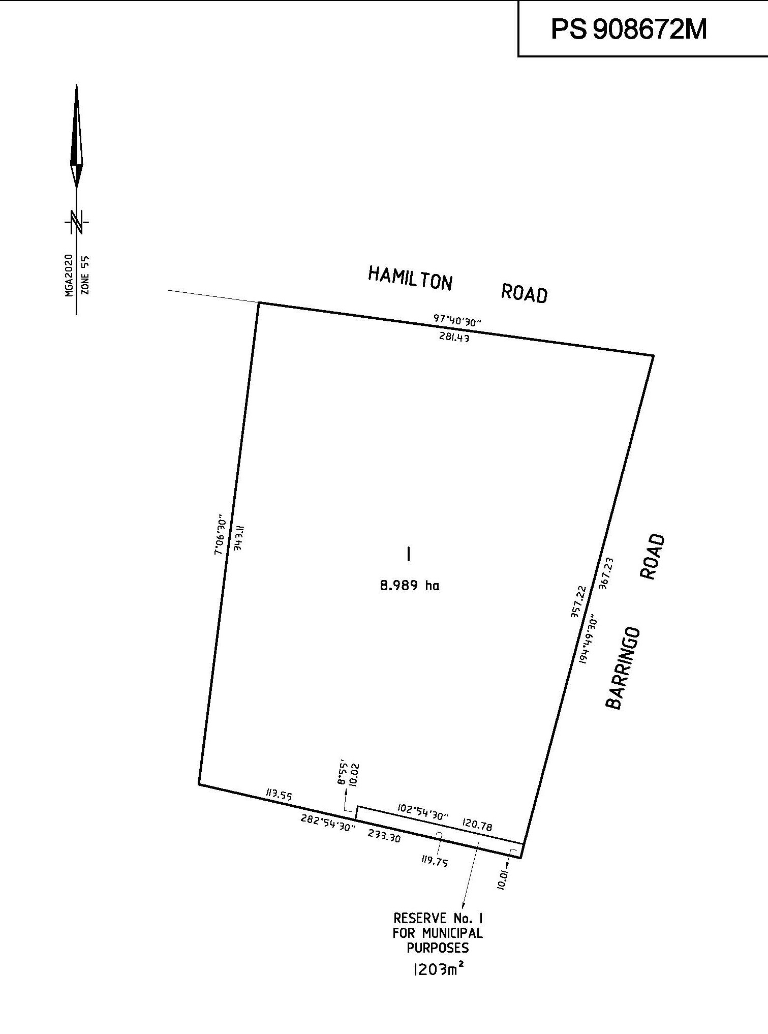
Through the design of the project, it was identified that a small portion of land (approximately 10m x 120m) at the rear of the Holy Cross Primary School, needs to be acquired. This will allow the trail to avoid existing railway infrastructure, and to connect Mount Macedon Road with Station Road.

A confidential sum has been agreed in principle for Council to purchase the land from the landowners, The Roman Catholic Trusts for the Diocese of Melbourne. Following endorsement by Council within confidential matters of the November 2025 Council Meeting, Council is now intending to proceed with a formal Letter of Offer and remaining steps to acquire the land.

A high-level drawing showing the land proposed to be acquired can be viewed here(JPG, 160KB) (small rectangle in the bottom right corner).

This public notice - which will be up for a 30-day period - signals Council's commitment to inform the community of this proposal, for transparency and consistent with Council's Community Engagement Policy.